Local Service Overview

Get Ants Extermination Service in San Diego, CA

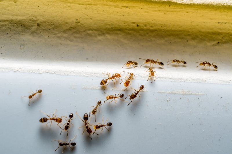
Ants extermination services for property owners in San Diego, CA, and nearby areas address ant infestations, prevent future outbreaks, and handle residential or commercial pest control projects.

San Diego, CA

Ants extermination services in San Diego, CA, provide property owners with effective solutions to manage and prevent ant infestations. These services help maintain a comfortable living or working environment by reducing the presence of pests that can invade kitchens, storage areas, and other parts of a property. Proper treatment can also enhance safety by minimizing the risk of ant bites and the potential spread of bacteria, ensuring that homes and businesses remain hygienic and secure.

Engaging professional ant extermination services can also improve the overall functionality and curb appeal of a property. By addressing infestations promptly, property owners can reduce ongoing maintenance needs and prevent damage caused by ants or associated pests. This proactive approach supports long-term durability of structures and landscaping, contributing to a cleaner, more attractive environment in San Diego neighborhoods.

Get Ants Extermination Service Quotes

  • Ants Infestation Control - when residents notice ant trails or nests inside their homes or businesses.
  • Kitchen and Pantry Ant Extermination - to address ant problems in food storage areas and prevent contamination.
  • Outdoor Ant Removal - for property owners dealing with ant mounds or colonies in yards and landscaping.
  • Commercial Ant Pest Management - to maintain a pest-free environment in retail spaces, offices, or industrial facilities.
  • Preventative Ant Treatments - to reduce the likelihood of future ant invasions in residential or commercial properties.

Get Ants Extermination Service Quotes

Ants Extermination Service
Ants Extermination Service
Ants Extermination Service

Ants extermination services involve identifying and eliminating ant infestations within residential, commercial, and industrial properties. Professionals typically conduct thorough inspections to locate ant colonies and determine the species involved. Treatment methods may include the application of targeted baits, insecticides, or barrier treatments designed to eradicate ants at their source and prevent future invasions. These services aim to address the root of the problem, reducing ant populations and minimizing the likelihood of recurring issues.

Ant infestations can cause a variety of problems for property owners. They are not only a nuisance but can also lead to damage to structures, insulation, and stored goods. Some ant species, such as carpenter ants, are known to compromise wood structures, potentially leading to costly repairs. Additionally, ants can contaminate food supplies and create unsanitary conditions, especially in kitchens and food storage areas. Professional extermination services help mitigate these risks by effectively removing existing colonies and implementing measures to keep ants from returning.

The need for ants extermination services spans a range of property types. Residential homes often seek assistance to protect their living spaces from infestations that can disrupt daily life. Commercial properties, including restaurants, grocery stores, and warehouses, require pest control to maintain hygiene standards and comply with health regulations. Additionally, agricultural facilities and outdoor spaces such as parks or playgrounds may also utilize extermination services to control ant populations that threaten crops or create safety hazards.

Local pest control providers offer tailored solutions to meet the specific needs of each property. They typically assess the extent of the ant problem, identify the species involved, and recommend appropriate treatment strategies. These services often include follow-up visits to monitor the situation and ensure that the infestation has been successfully managed. Engaging with experienced professionals can help property owners maintain a pest-free environment and reduce the likelihood of future ant issues.

The overview below groups typical Ants Extermination Service projects into broad ranges so you can see how smaller, mid-sized, and larger jobs often compare in San Diego, CA.

In many markets, a large share of routine jobs stays in the lower and middle ranges, while only a smaller percentage of projects moves into the highest bands when the work is more complex or site conditions are harder than average.

Initial Inspection - The cost for an ant inspection typically ranges from $50 to $150, depending on property size and complexity. This fee covers a thorough assessment to identify ant activity and entry points.

Basic Treatment - A standard ant extermination service usually costs between $100 and $300. The price depends on the extent of the infestation and the treatment method used by local service providers.

Advanced Treatments - For severe ant problems, advanced treatment options may range from $200 to $500. These services often involve targeted baiting or multiple application visits.

Ongoing Prevention - Preventative service plans can cost $150 to $400 annually, including regular inspections and treatments to keep ants from returning. Prices vary based on property size and service frequency.

Actual totals will depend on details like access to the work area, the scope of the project, and the materials selected, so use these as general starting points rather than exact figures.

Get an Ants Extermination Service Quote

Ants Extermination services involve identifying and eliminating ant colonies within residential or commercial properties to prevent ongoing infestations.

Local pros providing ant extermination can assess the severity of an ant problem and recommend appropriate treatment methods.

Ants Extermination services often include both immediate removal and strategies to prevent future invasions through barriers or ongoing monitoring.

Professionals may use a combination of baiting, trapping, and targeted treatments to effectively control ant populations.

Ant Extermination services are suitable for various types of ants, including sugar ants, carpenter ants, and fire ants.

Contacting local ant extermination specialists can help address ant issues promptly and restore a pest-free environment.

Ants Extermination Service

When selecting a professional for ant extermination services, it is important to consider the experience and reputation of local service providers. Homeowners should look for pros who have a proven track record in pest control, particularly with ant-specific treatments, to ensure effective and thorough service. Checking for reputable references or reviews from previous clients can offer insights into their reliability and quality of work, helping to make an informed decision.

Clear communication and well-defined expectations are essential when working with a pest control service. Homeowners are encouraged to discuss service details upfront, including treatment methods, potential follow-up visits, and any precautions to take afterward. A professional that provides written expectations can help prevent misunderstandings and ensure that the homeowner understands what to anticipate from the service.

The site introduces local options for ant extermination services, emphasizing that it functions as a lead-generation platform connecting homeowners with qualified local pros. It is important to recognize that the site does not perform the work itself. Instead, it helps users find reputable service providers in their area, facilitating a direct relationship between homeowners and local contractors or pest control specialists who can deliver the necessary services.

Get an Ants Extermination Service Quote

Property owners in San Diego, CA use Ants Extermination Service services for practical projects around their homes and businesses. The sections below highlight everyday jobs and straightforward project options.

Ants Extermination Service
Ants Extermination Service

Ants extermination services are commonly sought by property owners in San Diego, CA, facing persistent ant infestations that disrupt daily living or compromise cleanliness. These professionals are often contacted when ants invade kitchens, bathrooms, or other indoor spaces, making routine household activities uncomfortable. Additionally, property owners may seek extermination services to prevent ant colonies from spreading further, especially during warmer months when ant activity tends to increase.

In many cases, property owners look for ant extermination solutions after noticing increased ant activity around their yards or foundations. Ants can enter through small cracks or gaps, and ongoing invasions can lead to frustration and concerns about hygiene. Local service providers offer targeted treatments to eliminate existing colonies and help prevent future infestations, supporting residents in maintaining a comfortable and pest-free environment.

Get an Ants Extermination Service Quote

How do ant extermination services work? Ant extermination services typically involve inspecting the property, identifying ant species and entry points, and applying targeted treatments to eliminate nests and prevent future infestations.

Are ant treatments safe for pets and children? Most professional ant treatments are designed to be safe when used as directed; it is advisable to follow any specific safety instructions provided by the service provider.

How long does an ant extermination treatment last? The effectiveness duration varies based on the treatment type and extent of infestation, with some treatments providing protection for several months.

Will I need multiple visits for ant extermination? Depending on the severity of the infestation, some cases may require follow-up visits to ensure complete eradication and prevent re-infestation.

How can I prevent future ant problems? Professional service providers often recommend ongoing maintenance, sealing entry points, and removing attractants to help prevent future ant issues.

Ants Prevention Strategies - Local service providers can recommend effective methods to prevent ant infestations through sealing entry points and maintaining cleanliness.

Inspection and Identification - Professionals can assess property conditions to identify ant activity and determine the most appropriate extermination approach.

Extermination Services - Local pros offer targeted ant control treatments to eliminate colonies and reduce the likelihood of future invasions.

Follow-up and Monitoring - Service providers can conduct follow-up visits to ensure ant issues are resolved and advise on ongoing prevention measures.

Ants Extermination Service

Considering Ants Extermination Service for a property in San Diego, CA? The sections above highlight common project types, practical options, and details that often shape the scope of work.

When you are ready, use the quote form to share a few details about your project. Local pros can review the basics and respond with options that match what you have in mind.

Get an Ants Extermination Service Quote

Ants Extermination Quotes