Local Service Overview

Get Ants Extermination Service in Cincinnati, OH

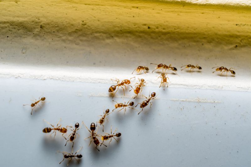
Ants extermination services for property owners in Cincinnati, OH, and nearby areas address ant infestations, prevent future invasions, and handle residential and commercial pest control projects.

Cincinnati, OH

Ants extermination services provide property owners in Cincinnati, OH with an effective solution to prevent and eliminate ant infestations. Addressing ant problems promptly helps maintain a comfortable living or working environment, reducing the nuisance and potential health concerns associated with large colonies. Professional extermination not only removes current pests but also helps create a barrier against future invasions, contributing to a safer and more functional space for residents and visitors alike.

Choosing expert ant extermination services can enhance curb appeal by maintaining a clean and pest-free exterior. Additionally, proper pest control can lead to increased durability of structures by preventing damage caused by ant activity, such as compromised wood or insulation. Reduced maintenance needs and improved safety are key benefits for property owners seeking long-term solutions that support the overall comfort, safety, and appearance of their Cincinnati properties.

Get Ants Extermination Service Quotes

  • Ants Extermination Services are recommended when ants invade kitchens, bathrooms, or other indoor spaces.
  • These services are useful for homeowners dealing with persistent ant colonies in residential areas near Cincinnati, OH.
  • Ant control treatments are suitable when outdoor ant mounds are located close to the property, attracting ants inside.
  • Services are needed when ants become a recurring nuisance despite basic cleaning and prevention efforts.
  • Professional extermination is advised for infestations that spread across multiple rooms or persist over time.

Get Ants Extermination Service Quotes

Ants Extermination Service
Ants Extermination Service
Ants Extermination Service

Ants extermination services involve professional treatment methods designed to eliminate ant infestations from residential, commercial, and industrial properties. Service providers typically conduct a thorough inspection to identify the species of ants and locate the nests or pathways they use within the property. Based on this assessment, they apply targeted solutions such as baiting systems, residual insecticides, or dust formulations to effectively reduce or eradicate ant populations. These treatments are often tailored to address the specific type of ants present, ensuring that the infestation is managed efficiently and safely.

Ant infestations can cause various problems for property owners, including property damage, contamination of food supplies, and general nuisance. Certain ant species, like carpenter ants, may cause structural damage by burrowing into wood, while others, such as fire ants, pose health risks through painful stings. Additionally, the presence of ants can lead to increased concerns about hygiene and cleanliness, especially in food preparation or storage areas. Professional extermination services help resolve these issues by removing the pests and implementing measures to prevent future invasions.

Various types of properties benefit from ants extermination services. Residential homes often seek treatment to protect their living spaces and food supplies from persistent ant activity. Commercial establishments, such as restaurants, grocery stores, and warehouses, require regular pest control to maintain hygiene standards and comply with health regulations. Industrial facilities and large-scale agricultural operations may also use these services to prevent infestations that could impact production or storage. In all cases, professional pest control providers adapt their approaches to the specific needs of each property type, ensuring effective and discreet solutions.

Ants extermination services typically involve a combination of inspection, treatment, and prevention strategies. Service providers may recommend ongoing monitoring or maintenance treatments to keep ant populations under control over time. The goal is to eliminate current infestations and reduce the likelihood of future problems through targeted application of pest control methods. Property owners across Cincinnati, OH, and nearby areas often rely on local professionals to handle these services, ensuring that the pest management process is carried out efficiently and with minimal disruption to daily routines.

The overview below groups typical Ants Extermination Service projects into broad ranges so you can see how smaller, mid-sized, and larger jobs often compare in Cincinnati, OH.

In many markets, a large share of routine jobs stays in the lower and middle ranges, while only a smaller percentage of projects moves into the highest bands when the work is more complex or site conditions are harder than average.

Initial Inspection - The cost for an ant inspection typically ranges from $50 to $150, depending on the size of the property and complexity. Some providers may charge more for thorough evaluations in larger homes or commercial spaces.

Basic Treatment - A standard ant extermination service usually costs between $100 and $300. This includes treatment of common areas and may vary based on the extent of the infestation and treatment methods used.

Extended or Multiple Treatments - For ongoing or multiple treatments, prices can range from $200 to $600. This often covers follow-up visits and more comprehensive approaches for severe infestations.

Preventive Services - Preventive ant control services generally cost between $150 and $400. These plans aim to keep ants from returning and may include barrier treatments and monitoring over time.

Actual totals will depend on details like access to the work area, the scope of the project, and the materials selected, so use these as general starting points rather than exact figures.

Get an Ants Extermination Service Quote

Ants Extermination - Local pest control providers offer specialized services to eliminate ant infestations and prevent future occurrences in residential and commercial properties.

Kitchen Ant Control - Pros utilize targeted treatments to address ant problems in kitchens, focusing on high-traffic areas where ants are commonly found.

Outdoor Ant Removal - Service providers apply treatments to outdoor areas such as yards and gardens to reduce ant colonies and limit their return to indoor spaces.

Ant Inspection Services - Experts conduct thorough inspections to identify ant entry points, nesting sites, and the extent of the infestation.

Ant Prevention Solutions - Local contractors advise on and implement measures to block ant access and minimize attractants around properties.

Ant Baiting and Trapping - Professionals set up bait stations and traps to effectively control ant populations without extensive chemical use indoors.

Ants Extermination Service

When evaluating ant extermination services, experience is a key factor to consider. Local pros with a proven track record in pest control often demonstrate a deep understanding of ant behavior and effective treatment methods specific to the Cincinnati area. Reviewing the length of time a service provider has been operating, along with their familiarity with local pest issues, can help ensure that the chosen professional has the expertise needed to address the problem efficiently.

Clear communication and well-defined expectations are essential when working with pest control providers. Reputable local pros typically offer detailed descriptions of their services, including the methods used and the scope of work involved. They should be transparent about what homeowners can expect during and after treatment, helping to foster trust and ensure that there are no surprises throughout the process.

References and reputation play a significant role in selecting a pest control service. Homeowners are encouraged to seek out local providers with positive references or reviews from previous clients in Cincinnati and nearby communities. Reliable service providers often have a reputation for professionalism, responsiveness, and quality work, which can be verified through local directories or word-of-mouth recommendations. Effective communication and a solid reputation are indicators of a professional who is dedicated to providing dependable ant extermination services.

Get an Ants Extermination Service Quote

Property owners in Cincinnati, OH use Ants Extermination Service services for practical projects around their homes and businesses. The sections below highlight everyday jobs and straightforward project options.

Ants Extermination Service
Ants Extermination Service

Ants Extermination Services are commonly sought by property owners in Cincinnati, OH when they notice ant activity inside or around their homes and businesses. Common situations include discovering trails of ants in kitchens, bathrooms, or other areas where food is stored or prepared. Property owners may also seek professional assistance after attempting DIY methods that fail to eliminate persistent ant colonies or prevent future infestations.

Local property owners might also look for ant extermination services when they observe ant mounds near the foundation or notice increased activity during warmer months. In addition, those experiencing recurring ant problems often turn to professionals to implement effective treatment plans that address the source of the infestation and help protect the property from future issues.

Get an Ants Extermination Service Quote

How do ant extermination services work? Ant extermination services typically involve inspecting the property to identify ant entry points and nests, followed by applying targeted treatments to eliminate the colony and prevent future infestations.

Are ant extermination treatments safe for homes with children or pets? Many local pros use treatments that are safe for homes with children and pets; it is advisable to discuss safety concerns directly with the service provider before scheduling.

How long does an ant extermination service usually take? The duration of an ant extermination service can vary depending on the extent of the infestation but generally ranges from a few hours to a full day.

Will I need multiple treatments to eliminate ants completely? Multiple treatments may be recommended by local pros for persistent or large ant colonies to ensure complete elimination and ongoing prevention.

What should I do to prepare my home before an ant extermination service? Homeowners are typically advised to clear the areas around entry points and food sources and follow any specific preparation instructions provided by the service provider.

Ants Inspection Services - Professionals can assess the extent of ant infestations to determine the most effective treatment strategies.

Ants Removal Solutions - Local service providers offer targeted treatments to eliminate ant colonies and prevent future invasions.

Preventive Ant Control - Experts can advise on and implement measures to reduce the likelihood of ant problems recurring.

Ants Barrier Treatments - Specialists apply barrier solutions around properties to deter ants from entering living or working spaces.

Ants Extermination Service

Considering Ants Extermination Service for a property in Cincinnati, OH? The sections above highlight common project types, practical options, and details that often shape the scope of work.

When you are ready, use the quote form to share a few details about your project. Local pros can review the basics and respond with options that match what you have in mind.

Get an Ants Extermination Service Quote

Ants Extermination Quotes