Local Service Overview

Get Ants Extermination Service in Indianapolis, IN

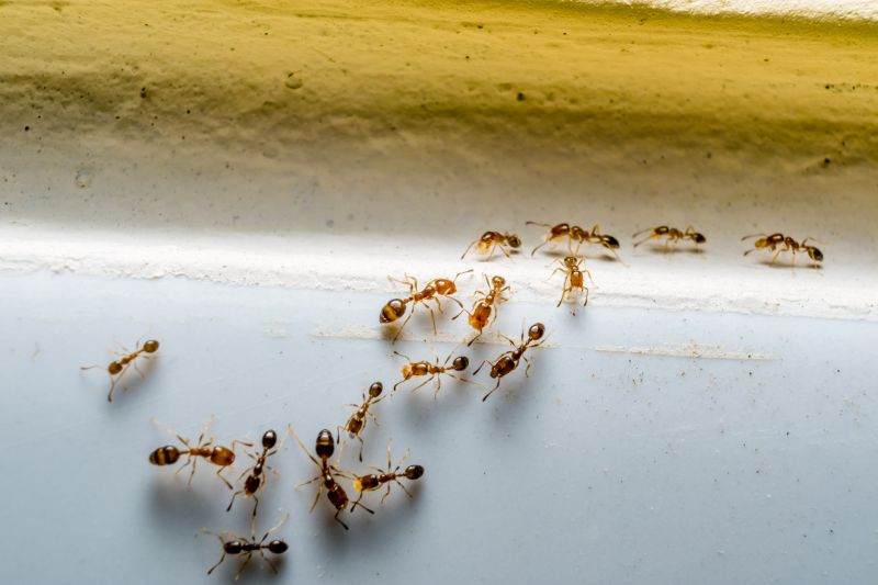
Ants extermination services for property owners in Indianapolis, IN, and nearby areas address ant infestations, including nests, trails, and ongoing pest control for residential and commercial properties.

Indianapolis, IN

Ants extermination services provide property owners in Indianapolis, IN with an effective solution to manage and eliminate ant infestations, which can compromise comfort and safety. Professional treatments target colonies at their source, helping to prevent future invasions and protect the structural integrity of buildings. This work enhances the functionality of outdoor and indoor spaces, ensuring that residents and visitors can enjoy the property without the nuisance or potential health concerns associated with ants.

Choosing expert extermination services also offers benefits related to durability and reduced maintenance. Regular inspections and treatments help maintain a pest-free environment over time, minimizing the need for repeated efforts or extensive repairs. Additionally, a well-maintained property with effective pest control can boost curb appeal, making the space more inviting for occupants and visitors alike. Engaging experienced local providers ensures that these goals are achieved efficiently and reliably.

Get Ants Extermination Service Quotes

  • Ant Infestation Removal - needed when ants invade homes or businesses in Indianapolis, IN and surrounding areas.
  • Kitchen Ant Control - required when ants are found in food preparation or storage areas.
  • Outdoor Ant Extermination - necessary for eliminating ant colonies in lawns, gardens, or outdoor structures.
  • Persistent Ant Problem Solutions - sought when ant activity continues despite initial attempts at control.
  • Ant Nest Identification and Treatment - essential for locating and treating hidden ant colonies in residential or commercial properties.

Get Ants Extermination Service Quotes

Ants Extermination Service
Ants Extermination Service
Ants Extermination Service

Ants extermination services involve the identification and elimination of ant colonies that have invaded residential or commercial properties. These services typically include thorough inspections to locate ant nests and entry points, followed by targeted treatments using specialized products to eradicate existing colonies. Some providers may also offer preventative measures to reduce the likelihood of future infestations, such as barrier treatments or advice on property modifications. The goal is to effectively remove ants from the premises while minimizing disruptions to the property’s occupants.

Ant infestations often lead to various problems, including property damage, contamination of food supplies, and general nuisance. Certain ant species, like carpenter ants, can cause structural damage by burrowing into wood, while others, such as odorous house ants or pavement ants, primarily create discomfort and clutter. Additionally, ants can sometimes introduce bacteria or pathogens, posing health concerns, especially in kitchens and food storage areas. Professional extermination services help address these issues by providing targeted solutions that eliminate the source of the problem and prevent re-infestation.

Properties that typically utilize ant extermination services include single-family homes, apartment complexes, restaurants, grocery stores, and other commercial establishments. Residential properties often seek assistance when ants become a persistent nuisance or threaten food safety. Commercial properties, particularly those in the food service industry, rely on professional treatments to maintain hygiene standards and comply with health regulations. Additionally, property managers and landlords may contact exterminators to manage ant issues across multiple units or shared spaces, ensuring a pest-free environment for tenants and visitors.

Engaging with local ant extermination service providers offers property owners access to experienced professionals equipped to handle various levels of infestation. These specialists assess the extent of the problem and recommend appropriate treatment options tailored to the specific property type and ant species involved. Whether addressing a minor nuisance or a more serious infestation, working with local pros ensures that property owners receive targeted, effective solutions designed to restore comfort and hygiene.

The overview below groups typical Ants Extermination Service projects into broad ranges so you can see how smaller, mid-sized, and larger jobs often compare in Indianapolis, IN.

In many markets, a large share of routine jobs stays in the lower and middle ranges, while only a smaller percentage of projects moves into the highest bands when the work is more complex or site conditions are harder than average.

Per-Visit Cost - Ant extermination services typically range from $100 to $300 per visit, depending on the extent of the infestation and property size. For example, a small apartment may cost around $100, while a larger home could be closer to $250.

Initial Treatment Package - The first treatment for ant control often costs between $150 and $400, which may include multiple applications. Larger or heavily infested properties tend to fall toward the higher end of this range.

Ongoing Service Plans - Regular maintenance plans are usually priced between $50 and $150 per month, providing periodic inspections and treatments. These plans are suitable for properties with recurring ant issues.

Per-Quadrant or Per-Area Pricing - Some providers charge based on the area treated, with costs typically between $75 and $200 for each section of a property. This pricing varies depending on the size and complexity of the treatment zone.

Actual totals will depend on details like access to the work area, the scope of the project, and the materials selected, so use these as general starting points rather than exact figures.

Get an Ants Extermination Service Quote

Ants Extermination services connect property owners with local pest control professionals who specialize in identifying and eliminating ant infestations effectively.

Residential Ants Control providers assist homeowners in managing ant problems within houses, ensuring safe and thorough removal of colonies.

Commercial Ants Extermination services help business owners address ant issues in commercial spaces, promoting a clean and pest-free environment for customers and employees.

Emergency Ants Removal specialists offer prompt assistance for urgent ant infestations that require immediate attention to prevent further spread.

Ants Prevention Services providers offer strategies and treatments to help prevent future ant invasions and protect properties long-term.

Integrated Pest Management for Ants solutions involve comprehensive approaches that combine various techniques to control and monitor ant populations effectively.

Ants Extermination Service

When selecting a local pest control provider for ant extermination services, it is important to consider the experience of the service providers. Homeowners should look for professionals who have a proven track record in handling ant infestations within the local area. Experienced providers are often familiar with the specific types of ants common to the region and understand effective treatment methods. This familiarity can contribute to more efficient and targeted solutions, helping to address the problem effectively.

Clear communication and well-defined expectations are essential when working with local pros. Homeowners are encouraged to seek providers who offer detailed information about their services, including the scope of work, treatment procedures, and any necessary preparations. Transparent communication can help ensure that expectations are aligned and that there are no misunderstandings about the process or the results. Establishing open lines of communication early can also facilitate smoother interactions throughout the service process.

Reputable references and testimonials can serve as valuable indicators of a service provider’s reliability and quality of work. While the site introduces local options, it is advisable for homeowners to review references or feedback from previous clients when available. This can provide insights into the provider’s professionalism, responsiveness, and effectiveness. Additionally, a provider’s reputation within the community often reflects their ability to deliver consistent results, making it a useful factor in the decision-making process.

Get an Ants Extermination Service Quote

Property owners in Indianapolis, IN use Ants Extermination Service services for practical projects around their homes and businesses. The sections below highlight everyday jobs and straightforward project options.

Ants Extermination Service
Ants Extermination Service

Ants extermination services are commonly sought by property owners in Indianapolis, IN, when encountering persistent ant infestations in residential or commercial spaces. These pests can invade kitchens, bathrooms, and storage areas, creating inconvenience and potential health concerns. Property owners often look for professional assistance to effectively eliminate ants and prevent future invasions, especially when DIY methods prove ineffective or the problem worsens over time.

In addition to immediate infestation issues, property owners may seek ant extermination services as a proactive measure to protect their property’s structural integrity and cleanliness. Ant colonies can sometimes signal underlying issues such as moisture problems or entry points that need sealing. Local service providers can assess the situation, recommend targeted treatments, and help maintain a pest-free environment in homes, apartments, and businesses across Indianapolis and nearby areas.

Get an Ants Extermination Service Quote

How do ant extermination services work? Ant extermination services typically involve identifying ant entry points and nesting areas, followed by applying targeted treatments to eliminate colonies and prevent future infestations.

Are ant extermination treatments safe for pets and children? Most professional ant treatments are designed to be safe when used as directed, but it's recommended to discuss any concerns with the local service provider before treatment.

How long does an ant extermination treatment last? The effectiveness duration varies depending on the treatment method and the extent of the infestation, with some treatments providing protection for several months.

Can ant extermination services prevent future infestations? Yes, many service providers offer ongoing prevention strategies and advice to reduce the likelihood of future ant problems.

How can I identify an ant infestation? Signs of an ant infestation include visible ants indoors or outdoors, ant trails, and the presence of nests or ant activity near food sources or entry points.

Ants Extermination Strategies - Local pest control providers can assess the severity of ant infestations and recommend effective treatment options tailored to specific needs.

Preventive Ant Control Tips - Professionals can offer advice on reducing attractants and sealing entry points to help prevent future ant problems.

Eco-Friendly Ant Pest Solutions - Many service providers utilize environmentally conscious methods to eliminate ants while minimizing impact on the surroundings.

Emergency Ant Extermination Services - Quick response options are available for urgent ant infestations that require immediate attention.

Ants Extermination Service

Considering Ants Extermination Service for a property in Indianapolis, IN? The sections above highlight common project types, practical options, and details that often shape the scope of work.

When you are ready, use the quote form to share a few details about your project. Local pros can review the basics and respond with options that match what you have in mind.

Get an Ants Extermination Service Quote

Ants Extermination Quotes